今日は1)シータイガー 2)ケワロパイプからホースシューリーフでダイビングしました


オオモンカエルアンコウ2尾



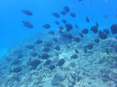
カスミアジ

★ベルベットラス♂(固有種)

ホワイトティップリーフシャーク/小さいのも含めて3尾

ニライカサゴ

オオムブダイ

カメ12頭


ハワイアンホワイトスポッテッドトビー(固有種)

イッテンチョウチョウウオの幼魚

ハワイアンファンテールファイルフィッシュ(固有種)

ハナビラウツボ

パイプウニ


リピーターのFさんとパーソナルトレイナーをなさっている
Kさん(素敵なボディーですね!)日本男児こうあれ!
Archive for the Category »未分類 «
今日は1)シータイガー 2)ホースシューリーフでダイビングしました

リピーターのIさん親子

ボートの上から観てもすっごく綺麗!

クサヤモロの群れ

ムレハタタテダイ

チョコーレートディップクロミス(固有種)



マダラトビエイ

オオモンケルアンコウ

ゴマウツボが泳いできてナミウツボと一緒になった

鳥が下のクサヤモロを食べていた

食後飛び去って行った

ハナビラウツボ

ホシテンスの幼魚

魚いっぱいで顔が隠れる!!!
2019年3月10日に開催されるホノルルフェスティバル終焉を飾る長岡花火観覧を楽しめるクルージングツアーを開催いたします。
便利なワイキキからの送迎もございます。人気の長岡花火が海上からお楽しみいただけるクルーズツアー
興味のある方ご連絡を!
今日は1)シータイガー 2)ホースシューリーフでダイビングしました
透明度良かった!

ヨスジフエダイの群れが奇麗でした

ドラフモレイ

ハダカハオコゼ

オオモンカエルアンコウ

★ハワイアングレゴリー(固有種)

ハワイアンファンテールファイルフィッシュ(固有種)

Tさん

フレームエンジェルフィッシュ / 2尾居ました

レッドフォークフィッシュ(固有種)

クロハコフグの幼魚↑&成魚♂

今日は2便で引き続きMさんとマンツーマンで1)ワイキキキャニオンズ
2)ホースシューリーフからケワロパイプシャロウでダイビングしました


★ちょっと変わったメガネクロハギ / 後ろ半分が黄色みがかっていた


アイストライプサージョンフィッシュの群れ

ブラックサイドレザーラスの幼魚(固有種)

後ろに忍び寄るカメ彼女は気づいていない、、、

セグロチョウチョウウオ

クモヒトデの下に入り込んだスレンダーテイル モレイの幼魚

今日も朝から4本潜って5日間潜って下さったMさん
今日でお別れ、、、寂しい、、、
大阪、京都、近畿地方の皆様地震の影響大丈夫でしたか?
今TVを付けて知りました。
余震がまだあるかも知れないので気を付けて下さいね!
早く収まる事祈ってます。
今日は2便で1)ワイキキキャニオンズ 2)ノーチェラスリーフでダイビングしました
その時ジムはYO257でジンベイザメを観ておりました
私たちもカメいっぱいで楽しかった!
やっと出ました!今年は遅い!
もうすぐ1番の人が帰ってくる。
車いすの1番は日本人でしたよ!早い!!!
皆さんのタイムは2:05なのにまだ5kmまでしか出ていない。
今年はリゾルノトのコンピューターが遅い!
もうすぐ1番がゴールします!
今日は土曜日に来て頂いた、Tさんとマンツーマンで4本ダイビングしました。
ポイントは?ハワイカイの 1) ミニバージ 2)ファンタジーリーフ 3)タートルキャニオンズ 4)ハワイロア レッジ でダイビングしました

今日の4本目で500本!!!おめでとうございます!
これからもどんどん潜って下さいね!

クロハコフグ / SPOTTED BOXFISH ♀

ミナミブンブク

インペリアルヌディブランチ / IMPERIAL NUDIBRANCH

LINED CORIS / ラインドコリス(固有種)♀

HAWAIIAN SQUIRREL FISH / ハワイアン スクロール フィッシュ(固有種) 白立て縞
今日はホノルルマラソン!
残念ながらジムは述語で、私は半下う板損傷で出場できず、、、
お友達のIさんが出たのでゴールでお迎え!(昨年もそうだった、、、)

お友達とも合流して


今のテクノロジーすごい!(え?普通?)
ゴールして暫くすると自分がガールしている場面がスクリーンに映ります!

今年のメダルはかっこいい!!!!!
私たちも欲しかった、、、
晴れ
今日は南の1) シータイガー 2)ケワロパイプでダイビングしました
Fさんとマンツーマンで潜りましたが写真なし、、、、 🙁 残念
ZXDIVING(メインサイト)
クリックお願いします